Venta

CAMPO AGRICOLA EN CAÑADA SECA - SAN RAFAEL

, SAN RAFAEL

$USD 300.000

Descripción de la Propiedad

🏡 RIVAROLA AGOSTINI INMOBILIARIA VENDE

🌿 97 HECTÁREAS EN CAÑADA SECA – SAN RAFAEL, MENDOZA

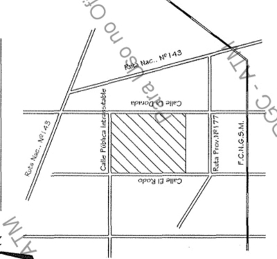
Excelente campo agrícola ubicado en el distrito de Cañada Seca, a solo 800 metros de la Ruta Nacional 143 y a 1,5 km de la localidad de Salto de las Rosas, con muy buen acceso y entorno rural consolidado.

La propiedad cuenta con una superficie total de 97 hectáreas, con forma prácticamente cuadrada y aproximadamente 950 metros de frente, lo que facilita el manejo productivo y brinda además la posibilidad de futuras subdivisiones.

El terreno se encuentra nivelado e inculto, con derecho de riego, lo que lo convierte en una excelente alternativa para proyectos agrícolas, producción de forraje, ganadería o inversión a largo plazo.

📍 Características principales:

* Superficie total: 97 hectáreas
* Terreno nivelado e inculto
* Derecho de riego
* Aproximadamente 950 metros de frente
* Ubicación estratégica a 800 m de Ruta Nacional 143
* A 1,5 km de Salto de las Rosas
* Acceso por calle de tierra en buen estado
* Servicio de energía eléctrica disponible sobre calle El Dorado (frente de la propiedad)
* Zona rural con fincas productivas en el entorno

💰 Precio de venta: USD 300.000

🔁 Se analizan permutas como parte de pago por propiedades ubicadas en Gran Mendoza.

📞 Consultas y visitas:

Rivarola Agostini Inmobiliaria
Matrícula 1434
🌐 www.rivarolaagostini.com.ar
📸 Instagram: @inmobiliaria_rivarolaagostini

📱 261-468-4227
📱 261-485-6985

Características Bodega, Campo y Finca
Total Ha (Hectáreas):
97
Derecho de riego:
Definitivo
Energía Eléctrica:
Si
Nivelado:
Si
Estado:
Excelente
Antiguedad:
Estrenar
Forma de pago
Superficies
Metros Totales (mts2):
970000

Ubicación

País:
Argentina
Provincia:
MENDOZA
Departamento:
SAN RAFAEL
Localidad:
CAÑADA SECA
Celular:
2614684227
Agente:
Dario Rivarola Agostini
#ID Propiedad:
1024
Formulario de Contacto

Propiedades similares